Everett Griner talks about the three major storm impacting the United States in 2017 in today’s Agri View. Damage was extensive with all three storms. Everett looks back at some of the agriculture losses.
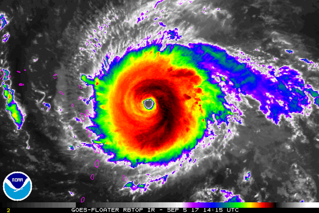
It’s in the books now. They are closed for the year on agriculture. For 2017. And, it is good that they are. There were three good reasons. Harvey, Irma, and Maria. We have had many years with three or more hurricanes that have struck the 


I should point out that these same storms left extensive damage in Puerto Rico, and the Virgin Islands. Texas had severe damage to it’s cotton crop. In Florida, where they were hit twice, it was citrus and vegetable. Georgia’s biggest loss was to its pecan groves as well as the nut crop.
Well, It is all history now, except for the crops. Let’s hope it doesn’t happen again that way.
That’s Agri View for today. I’m Everett Griner…










